How To Read A Plat

How to Read a Plat Map

How To Read A Plat. Web reading a plat map in a property survey. For platted subdivisions, the property description is simplified.

How to Read a Plat Map
How to Read a Plat Map

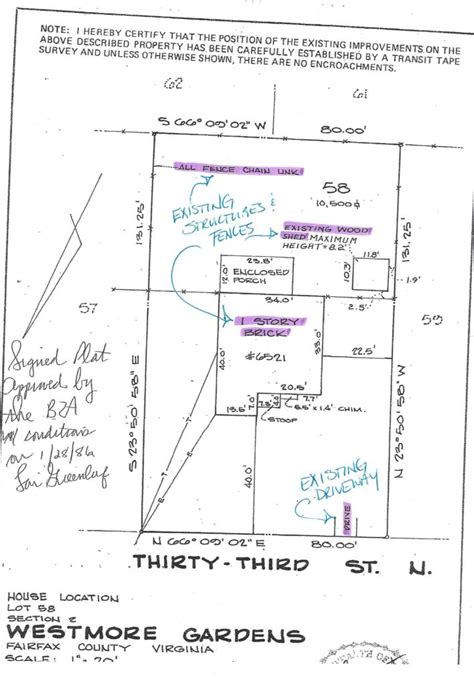
Because, you can use a plat map to see how far your property extends and where your land’s boundaries lie. Public room, land status, plat, land office, public land, township, tract, willamette meridian, master title plat created date: The property description used in deeds and other land documents will refer to the name of the subdivision and the lot number. The lines that separate each piece of land will show you the dimensions of the property. Web a plat is a map of a land area, usually on the scale of a neighborhood or county township, and a plot is a piece of land used for a single purpose (such as a park or a home). Web a plat map shows a piece of land, drawn to scale, with details such as nearby properties, boundaries, land size, flood zones, the surrounding neighborhood, easements, and monuments. Web i always make sure to get a plat on every lot we purchase. Web your plat should have the name and phone number of the surveyor who prepared it. Plat is a term for the survey of a piece of land that identifies information such as boundary lines, recorded easements, recorded rights of way, etc. He should be able to answer most of your questions and can help you find your property corners.

The county may have separate plat books in which subdivisions are recorded. Web how to read a plat or survey north atlanta homes & land by atlhickman 523 subscribers subscribe 766 share save 244k views 6 years ago this is a quick. Spend the money to understand what you have. Don’t let your plat map get lost in the maze of closing paperwork. For platted subdivisions, the property description is simplified. The lines that separate each piece of land will show you the dimensions of the property. Web i always make sure to get a plat on every lot we purchase. 8 minutes a plat map is a valuable source of information about a property that you should receive during the closing process of a real estate transaction. Web there will be a plat map, which shows the location and number of each lot. Reading a plat map is a straightforward process if you know what you’re looking for. Because, you can use a plat map to see how far your property extends and where your land’s boundaries lie.